石家庄市自然资源和规划局鹿泉分局关于“和平路与西三环互通立交工程涉铁房屋还建项目”规划方案的公示通告
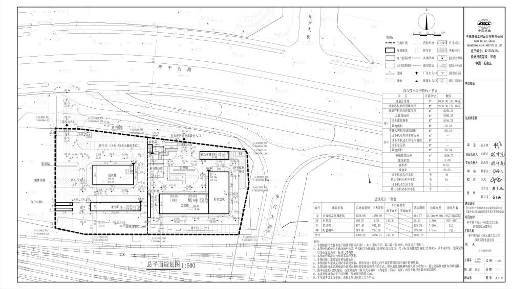
我局正在对中国铁路北京局集团有限公司“和平路与西三环互通立交工程涉铁房屋还建项目”规划方案进行审查。该项目位于开发区南新城村,和平路南侧、申兴大街西侧,用地性质为铁路用地,用地面积9638.9平方米(详见总平面图)。
根据《中华人民共和国行政许可法》、《中华人民共和国城乡规划法》的有关规定,现就规划方案向社会予以公示,广泛征求和听取利益相关者的意见和建议。如以上申请事项影响到或可能影响到您的权益,你应在公示期10天内(按公示当日时间计算)通过书面或电话形式向鹿泉分局提出意见,利害关系人有申请听证的权利。相关查询请登录中国鹿泉() ,有效意见反馈途径为鹿泉分局。
联系电话: 82019499
附 件: 项目总平面图
2024年11月8日
